DECRETO por el que se expropia por causa de utilidad pública la superficie de 47-54-58 hectáreas del ejido "San Antonio el Desmonte", municipio de Pachuca de Soto, estado de Hidalgo, a favor del Instituto Nacional del Suelo Sustentable.

Al margen un sello con el Escudo Nacional, que dice: Estados Unidos Mexicanos.- Presidencia de la República.

CLAUDIA SHEINBAUM PARDO, Presidenta de los Estados Unidos Mexicanos, en ejercicio de la facultad que me confiere el artículo 89, fracción I, de la Constitución Política de los Estados Unidos Mexicanos, con fundamento en los artículos 27, párrafos primero y segundo, y 92 de la propia Constitución; 13 y 41 de la Ley Orgánica de la Administración Pública Federal; 93, fracción V, y 94 de la Ley Agraria; 6, fracciones IV y V, de la Ley General de Asentamientos Humanos, Ordenamiento Territorial y Desarrollo Urbano, y 60, 61, y 75 del Reglamento de la Ley Agraria en Materia de Ordenamiento de la Propiedad Rural, y
RESULTANDO
1. Que, mediante resolución presidencial publicada en el Diario Oficial de la Federación (DOF) el 10 de febrero de 1930, se dotó al poblado de "San Antonio del Desmonte", municipio de Pachuca, estado de Hidalgo, la superficie de 514-90-00 hectáreas. Dicha resolución se ejecutó el 3 de enero de 1930;
2. Que, mediante resolución presidencial publicada en el DOF el 17 de marzo de 1942, se dotó por concepto de ampliación de ejidos al poblado denominado "San Antonio el Desmonte", municipio de Pachuca, estado de Hidalgo, la superficie de 154 hectáreas. Dicha resolución se ejecutó el 30 de mayo de 1942;
3. Que el ejido "San Antonio del Desmonte", municipio de Pachuca y/o Pachuca de Soto, estado de Hidalgo, fue afectado por las siguientes acciones agrarias:
No.
Resolución Presidencial
Publicación en el DOF
Acción
Superficie (hectáreas)
1
19-12-1984
28-12-1984
Expropiación
03-68-53.45
2
14-06-1990
22-06-1990
Expropiación
29-72-93.33
3
3-01-1992
3-03-1992
Expropiación
03-70-33
4
23-07-1993
28-07-1993
Expropiación
01-47-62
5
19-09-2000
22-09-2000
Expropiación
19-86-07.58
 
4. Que, mediante asamblea general de ejidatarios de 16 de noviembre de 1997, se determinó la delimitación, destino y asignación de tierras ejidales del núcleo agrario "San Antonio el Desmonte", municipio de Pachuca, estado de Hidalgo;
5. Que, el 23 de diciembre de 1997 el ejido "San Antonio el Desmonte", municipio de Pachuca de Soto, estado de Hidalgo, se inscribió en el Padrón e Historial de Núcleos Agrarios del Registro Agrario Nacional (RAN), con el folio de ejidos y comunidades 13048003110021930R;
6. Que, el proyecto de Nación se fundamenta en los Cien Compromisos de gobierno para el periodo 2025-2030, los cuales son la base del Plan Nacional de Desarrollo 2025-2030 (PND), publicado en el DOF el 15 de abril de 2025; en ellos se exponen XIV repúblicas, la VI, que se denomina República con acceso a vivienda, contempla el compromiso número 49, mismo que se refiere al "Programa masivo de escrituración de casas";
7. Que, el PND 2025-2030 contempla en su Eje general 2 "Desarrollo con Bienestar y Humanismo", el objetivo y estrategias siguientes:
"...Objetivo 2.9: Garantizar el derecho a una vivienda adecuada y sustentable que mejore la calidad de vida de la población mexicana, contribuyendo a cerrar las brechas de desigualdad social y territorial.
Estrategia 2.9.3 Fomentar la normatividad que promueva la oferta de suelo accesible y adecuado para vivienda, impulsando el acceso a entornos justos y adaptativos, y facilitando el acceso a programas de crédito accesibles para la compra de suelo y la ejecución de proyectos habitacionales.
Estrategia 2.9.4 Promover la certeza jurídica para proteger el patrimonio de las personas mexicanas, mediante acciones que faciliten la escrituración de viviendas..."
8. Que, el Programa Sectorial de Desarrollo Agrario, Territorial y Urbano (PSEDATU) 2025-2030, publicado en el DOF el 1 de septiembre de 2025, establece en el apartado 6.3 Relevancia del objetivo 3: Incrementar el acceso de la población mexicana a una vivienda adecuada que contribuya con su pleno desarrollo;
9. Que, el Instituto Nacional del Suelo Sustentable (INSUS), derivado de sus capacidades técnicas y operativas para transformar el suelo en oportunidades de vida digna, así como su visión para lograr un desarrollo territorial ordenado y sostenible, se erige como el principal actor y responsable en el cumplimiento del compromiso presidencial denominado "Programa masivo de escrituración de casas", enmarcado en los 100 compromisos de la actual Administración Federal para el Segundo Piso de la Cuarta Transformación;
10. Que lo descrito en el resultando precedente permitirá garantizar que ese Instituto, como articulador de la voluntad política de la actual Administración con las demandas sociales en materia de suelo, contribuya de manera efectiva en la disminución de la problemática de la irregularidad en los asentamientos humanos, con un enfoque integral para la planeación de localidades resilientes y sostenibles, donde se promueva la provisión de servicios e infraestructura para el desarrollo urbano, con respeto irrestricto a los derechos humanos, bajo criterios de equidad, legalidad y patrimonio seguro para las familias beneficiarias, fortaleciendo el tejido social, en un ambiente más próspero, que les permita elevar sus condiciones de vida en armonía con el territorio;
11. Que, entre el 24 de julio de 2011, 24 de mayo de 2015 y 31 de octubre de 2017, el comisariado ejidal y diversos ejidatarios del ejido "San Antonio el Desmonte", otorgaron su anuencia para iniciar el procedimiento expropiatorio, a favor de la entonces Comisión para la Regularización de la Tenencia de la Tierra (CORETT), hoy INSUS, para regularizar los terrenos con asentamientos humanos irregulares e iniciar el trámite expropiatorio;
12. Que, mediante decreto presidencial publicado en el DOF el 16 de diciembre de 2016, la entonces CORETT se transformó en el INSUS, teniendo entre sus atribuciones las siguientes:
"Artículo Cuarto. Para el cumplimiento de su objeto, el Instituto Nacional del Suelo Sustentable, tiene las atribuciones siguientes:
I. Apoyar a la Secretaría de Desarrollo Agrario, Territorial y Urbano en la planeación y ejecución de la Política Nacional de Suelo;
IV. Realizar y ejecutar acciones y programas de regularización del suelo, en sus diferentes tipos y modalidades;
X. Promover la incorporación de suelo social para acciones y proyectos de desarrollo, conforme a la normatividad aplicable, mediante la interlocución y asociación con los ejidatarios y comuneros, así como la creación de instrumentos que permitan una distribución equitativa de cargas y beneficios generados por la habilitación de suelo;
XVI. Las demás acciones que sean necesarias para el cumplimiento de su objeto, contando con las facultades que se establezcan en las disposiciones jurídicas aplicables..."
13. Que el INSUS, mediante oficio número 1.0/178/2019 de 2 de mayo de 2019, solicitó al entonces titular de la Secretaría de Desarrollo Agrario, Territorial y Urbano (Sedatu) la expropiación de la superficie de 47-50-87 ha del ejido "San Antonio el Desmonte", municipio de Pachuca de Soto, estado de Hidalgo, para destinarla a la regularización y titulación legal mediante la venta a las personas avecindadas de los solares que ocupan, la venta de los lotes vacantes a los terceros que le soliciten un lote, así como la donación de las áreas necesarias para equipamiento, infraestructura y servicios urbanos y municipales en la zona;
14. Que, la entonces Dirección General de la Propiedad Rural, hoy Dirección General de Resoluciones Presidenciales y Expropiaciones (DGRPE) de la Sedatu, el 27 de agosto de 2019, emitió acuerdo de instauración del procedimiento de expropiación con número de expediente DGPR/SOE-13HG/0011INSUS/2019;
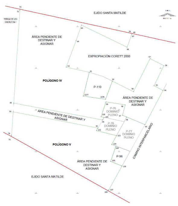
15. Que el comisionado técnico del RAN y el comisionado agrario de la Sedatu rindieron el "Informe de los Trabajos Técnicos e Informativos de Expropiación", de 18 de junio de 2021, en el que señalan que la superficie real a expropiar al ejido "San Antonio el Desmonte", municipio de Pachuca de Soto, estado de Hidalgo, es de 47-54-58 ha de terrenos de uso común. Sin embargo, dichos trabajos fueron actualizados en fecha 23 de mayo de 2025, de los que resultó una superficie real a expropiar de 47-54-58 ha de terrenos de uso común, de las cuales 30-05-96 ha son de agostadero y 17-48-62 ha son de temporal, que se describen en los siguientes planos y cuadros de construcción:
 

 

 


 



Asimismo, se señala que las tierras de uso común son las siguientes:
No.
Tipo
Calidad de la tierra
Sup. Afectada (ha)
1
Área pendiente de destinar y asignar, polígonos IV y V.
Agostadero
30-05-96
2
Área pendiente de destinar y asignar, polígonos I, II y III.
Temporal
17-48-62
 
Superficie a expropiar de uso común: 47-54-58 ha
Superficie total a expropiar: 47-54-58 ha
16. Que, la entonces Dirección General de Ordenamiento Territorial y de Atención a Zonas de Riesgo, hoy Dirección General de Ordenamiento Territorial y Urbano (DGOTU) de la Sedatu, el 6 de noviembre de 2023 actualizó la opinión técnica DGOTAZR/DGAGO/0001/HGO/INSUS/0001/2017 de 29 de noviembre de 2017, respecto del procedimiento de expropiación a favor de INSUS por la superficie de 47-54-58 ha, relativas al ejido "San Antonio el Desmonte, municipio de Pachuca, estado de Hidalgo;
17. Que, el 14 de noviembre de 2024, el Instituto de Administración y Avalúos de Bienes Nacionales (Indaabin), emitió el dictamen valuatorio con número secuencial 02-24-345 y genérico G-34960-1-ZNB, en el que determinó, que el monto total de indemnización asciende a $5,241,275.93 (cinco millones doscientos cuarenta y un mil doscientos setenta y cinco pesos 93/100 M.N.);
18. Que, al comisariado ejidal del ejido "San Antonio el Desmonte" se les notificó el 31 de enero de 2025, la solicitud de expropiación, el acuerdo de instauración, la superficie real a expropiar derivado de los Trabajos Técnicos e Informativos y el dictamen valuatorio. Asimismo, se les informó que contaban con 10 días hábiles para que manifestaran lo que a sus intereses convinieran;
19. Que, los integrantes del comisariado ejidal del ejido "San Antonio el Desmonte", municipio de Pachuca de Soto, estado de Hidalgo, presentaron escrito de inconformidad en contra del avalúo referido en el resultando 17. La Sedatu atendió la inconformidad presentada y notificó la respuesta respectiva;
20. Que, la DGRPE, el 8 de septiembre de 2025, emitió dictamen en el que determinó procedente la expropiación a que se refiere el resultando 15 a favor del INSUS para destinarlos a su regularización y titulación legal mediante la venta a los avecindados de los solares que ocupan, la venta de los lotes vacantes a los terceros que le soliciten un lote, así como la donación de las áreas necesarias para equipamiento, infraestructura y servicios urbanos y municipales en la zona, y
CONSIDERANDO
I. Que, de conformidad con los artículos 27, párrafos primero y segundo de la Constitución Política de los Estados Unidos Mexicanos (CPEUM); 93, fracción V y 94 de la Ley Agraria; 6, fracciones IV y V, de la Ley General de Asentamientos Humanos, Ordenamiento Territorial y Desarrollo Urbano, y 75 del Reglamento de la Ley Agraria en Materia de Ordenamiento de la Propiedad Rural (RLAMOPR), procede, mediante indemnización y previo decreto expedido por la persona titular del Ejecutivo Federal publicado en el DOF, la expropiación por causa de utilidad pública, como lo es la regularización de la tenencia de la tierra urbana y rural, así como la ejecución de obras de infraestructura, equipamiento y servicios urbanos;
II. Que, el "Programa masivo de escrituración de casas", contemplado en el Eje general 2 "Desarrollo con bienestar y humanismo" del PND 2025-2030 garantizará el derecho a una vivienda adecuada y sustentable que mejore la calidad de vida de la población mexicana contribuyendo a cerrar las brechas de desigualdad social y territorial; fomentará la normatividad que promueva la oferta de suelo accesible y adecuado para vivienda, impulsando el acceso a entornos justos y adaptativos, y facilitando el acceso a programas de crédito accesibles para la compra de suelo y la ejecución de proyectos habitacionales; además, promoverá la certeza jurídica para proteger el patrimonio de las personas mexicanas, mediante acciones que faciliten la escrituración de viviendas;
III. Que, de acuerdo al documento señalado en el resultando 12 respecto al decreto presidencial publicado en el Diario Oficial de la Federación (DOF) el 16 de diciembre de 2016, por el que se reestructuró la Comisión para la Regularización de la Tenencia de la Tierra para transformarse en el Instituto Nacional del Suelo Sustentable, el presente decreto debe culminar a favor del instituto;
IV. Que, el INSUS, invocó la causa de utilidad pública prevista en el artículo 93, fracción V de la Ley Agraria, misma que tiene correlación con el artículo 6, fracciones IV y V de la Ley General de Asentamientos Humanos, Ordenamiento Territorial y Desarrollo Urbano (LGAHOTDU); en consecuencia el presente instrumento debe fundamentar la causa de utilidad pública en el artículo 93, fracción V de la Ley Agraria, en relación con el artículo 6, fracciones IV y V, de la LGAHOTDU;
V. Que, en los documentos señalados en los resultandos 1, 2 y 3 del presente instrumento indican que el nombre del ejido es "San Antonio del Desmonte y/o San Antonio el Desmonte", ubicado en el municipio de Pachuca y/o Pachuca de Soto, estado de Hidalgo; sin embargo, los datos actuales y correctos del ejido son San Antonio el Desmonte, municipio de Pachuca de Soto, tal y como consta en la inscripción en el PHINA del RAN, e informe de comisión de Trabajos Técnicos Informativos de Expropiación, por lo que el presente Decreto debe culminar como ejido, "San Antonio el Desmonte" municipio de Pachuca de Soto, estado de Hidalgo;
VI. Que, la superficie de 47-54-58 ha de terrenos de agostadero y de temporal de uso común, pertenecientes al ejido "San Antonio el Desmonte", municipio de Pachuca de Soto, estado de Hidalgo, se destinará para su regularización y titulación legal mediante la venta a los avecindados de los solares que ocupan, la venta de los lotes vacantes a los terceros que le soliciten un lote, así como la donación de las áreas necesarias para equipamiento, infraestructura y servicios urbanos y municipales en la zona; como consecuencia, se acredita la causa de utilidad pública prevista en los artículos 93, fracción V de la Ley Agraria y 6, fracciones IV y V, de la LGAHOTDU;
VII. Que el destino que se dará a la superficie a expropiar es para la regularización de la tenencia de la tierra, además de incorporar al desarrollo urbano los asentamientos humanos de origen social, lo que evitará la expansión desordenada de los centros urbanos, y permitirá beneficiar a más familias, así como mejorar su calidad de vida al incorporarlas a los programas sociales del Gobierno Federal;
VIII. Que es un instrumento fundamental de fortalecimiento del estado de derecho, que permitirá a los posesionarios y ejidatarios que conforman el asentamiento humano irregular, obtener certeza jurídica respecto de su propiedad, elemento detonador para que puedan contar con una vivienda, y se establezcan las condiciones jurídicas que posibiliten incorporar a estas superficies al desarrollo urbano y servicios públicos;
IX. Que, de diversos documentos contenidos en el expediente de expropiación número DGPR/SOE-13HG/0011INSUS/2019 se advierte que la superficie que se solicitó expropiar al ejido "San Antonio el Desmonte", fue de 47-50-87 ha; sin embargo, una vez realizados los trabajos técnicos e informativos, resultó que la superficie real es de 47-54-58 ha de terrenos de agostadero y de temporal de uso común como consta en el informe de comisión de los Trabajos Técnicos e Informativos de Expropiación ya referido, motivo por el cual la superficie a expropiar del ejido "San Antonio el Desmonte", municipio de Pachuca de Soto, estado de Hidalgo, debe ser de 47-54-58 ha;
X. Que, se otorgó garantía de audiencia al órgano de representación del ejido "San Antonio el Desmonte", municipio de Pachuca de Soto, estado de Hidalgo, como se acredita con las constancias que obran en el expediente DGPR/SOE-13HG/0011INSUS/2019;
XI. Durante el periodo concedido a los integrantes del comisariado ejidal, presentaron escrito de inconformidad en contra del dictamen valuatorio referido. La Sedatu, atendió la inconformidad presentada y notificó la respuesta respectiva; con lo anterior, se dio cumplimiento a los artículos 14 y 16 de la CPEUM y 65 del RLAMOPR;
XII. Que queda acreditado que se ha cumplido con lo dispuesto en los artículos 94 de la Ley Agraria y 70 del RLAMOPR, ya que el Indaabin emitió dictamen valuatorio el 14 de noviembre de 2024, en el cual determinó que el monto de indemnización asciende a $5,241,275.93 (cinco millones doscientos cuarenta y un mil doscientos setenta y cinco pesos 93/100 M.N.). Con base en dicho avalúo, procede pagar la indemnización al ejido por las tierras de uso común, en la inteligencia de que los bienes objeto de la expropiación solo podrán ser ocupados de manera definitiva, mediante el pago que se efectúe al ejido o a las personas que acrediten tener derecho sobre tierras de uso común en la proporción que corresponda;
XIII. Que, en caso de que los bienes expropiados se destinen a un fin distinto al señalado en el decreto respectivo, o si transcurrido un plazo de 5 años no se ha cumplido con la causa de utilidad pública, el Fideicomiso Fondo Nacional de Fomento Ejidal (FIFONAFE) podrá ejercer las acciones necesarias para reclamar la reversión parcial o total, según corresponda, de los bienes expropiados, y operar la incorporación de estos a su patrimonio; ello de conformidad con el artículo 97 de la Ley Agraria. Asimismo, los bienes objeto de la expropiación solo podrán ser ocupados de manera definitiva, mediante el pago que se efectúe al afectado por el uso común en la proporción que le corresponda;
XIV. Que, en términos de los artículos 93,94 y 95 de la Ley Agraria y 60, 61, 63, 65, 67, 70, 72, 73, 74 y 75 del RLAMOPR, al haberse tramitado el procedimiento de expropiación ante la Sedatu, así como al haber justificado y acreditado las causas de utilidad pública, he tenido a bien expedir el siguiente
DECRETO
PRIMERO. Se expropia por causa de utilidad pública la superficie de 47-54-58 ha (cuarenta y siete hectáreas, cincuenta y cuatro áreas, cincuenta y ocho centiáreas) de terrenos de uso común de los cuales 30-05-96 ha (treinta hectáreas, cinco áreas, noventa y seis centiáreas) son de agostadero y 17-48-62 ha (diecisiete hectáreas, cuarenta y ocho áreas, sesenta y dos centiáreas) son de temporal, del ejido "San Antonio el Desmonte", municipio de Pachuca de Soto, estado de Hidalgo, a favor del Instituto Nacional del Suelo Sustentable, para destinarlos a su regularización y titulación legal mediante la venta a las personas avecindadas de los solares que ocupan, la venta de los lotes vacantes a los terceros que le soliciten un lote, así como la donación de las áreas necesarias para equipamiento, infraestructura y servicios urbanos y municipales en la zona.
SEGUNDO. Queda a cargo del Instituto Nacional del Suelo Sustentable acreditar que se realizó el pago o, en su caso, cubrir con su presupuesto autorizado el monto de la indemnización que en términos de ley deba pagarse a quienes acrediten su legítimo derecho, respecto a la superficie a expropiar, por la cantidad señalada en el avalúo emitido por el Instituto de Administración y Avalúos de Bienes Nacionales, y en los términos señalados en el considerando XII del presente decreto.
TERCERO. La Secretaría de Desarrollo Agrario, Territorial y Urbano procederá a la ejecución correspondiente, una vez que el Instituto Nacional del Suelo Sustentable haya acreditado que se realizó el pago indemnizatorio señalado en el numeral anterior.
TRANSITORIOS
PRIMERO. Publíquese en el Diario Oficial de la Federación.
SEGUNDO. El presente decreto entrará en vigor y surtirá sus efectos el día de su publicación en el Diario Oficial de la Federación.
TERCERO. Inscríbase en el Registro Agrario Nacional, en el Registro Público de la Propiedad Federal y en el Registro Público de la Propiedad estatal o municipal correspondiente.
CUARTO. Notifíquese y ejecútese en los términos de la normatividad aplicable.
Dado en la residencia del Poder Ejecutivo Federal, en la Ciudad de México a 14 de noviembre de 2025.- Presidenta de los Estados Unidos Mexicanos, Claudia Sheinbaum Pardo.- Rúbrica.- Secretaria de Desarrollo Agrario, Territorial y Urbano, Edna Elena Vega Rangel.- Rúbrica.