ACUERDO mediante el cual se excluye la superficie de 54-59-64.54 hectáreas del polígono III, del predio Xaltocan, Municipio de Nextlalpan, Estado de México, de la Resolución de Declaratoria de Terreno Nacional del 16 de abril de 2019, publicada el 26 de abril de 2019, en cumplimiento a la Resolución del 26 de mayo de 2022, pronunciada por el Décimo Tribunal Colegiado en Materia Administrativa del Primer Circuito, derivada del recurso de revisión 326/2021, la cual confirma la sentencia de amparo 1537/2019 dictada por el Juzgado Quinto de Distrito en Materia Administrativa de la Ciudad de México.

Al margen un sello con el Escudo Nacional, que dice: Estados Unidos Mexicanos.- DESARROLLO TERRITORIAL.- Secretaría de Desarrollo Agrario, Territorial y Urbano.- Subsecretaría de Ordenamiento Territorial y Agrario.- Dirección General de Ordenamiento de la Propiedad Rural.

Expediente:
831506
Predio:
Xaltocan (Polígono III)
Municipio:
Nextlalpan
Estado:
México
Superficie excluida de la declaratoria de terreno nacional:
54-59-64.54 ha
 
ACUERDO
VISTA para su cumplimiento la resolución del 26 de mayo de 2022, pronunciada por el Décimo Tribunal Colegiado en Materia Administrativa del Primer Circuito, derivada del recurso de revisión, la cual confirma la sentencia del amparo 1537/2019, dictada por el Juzgado Quinto de Distrito en Materia Administrativa de la Ciudad de México, promovido por Raúl Romero Zenizo, por su propio derecho, en contra de actos del Secretario de Desarrollo Agrario, Territorial y Urbano y de la Directora General Ordenamiento de la Propiedad Rural, respecto de los polígonos I, y III del predio Xaltocan, en el municipio de Nextlalpan, Estado de México;
RESULTANDO
1. Que mediante escrito del 6 de agosto de 2015, dirigido al Titular de la Secretaría de Desarrollo Agrario, Territorial y Urbano, 722 firmantes presentaron solicitud de enajenación colectiva de terreno nacional, respecto del predio denominado Xaltocan; polígonos I, II y III, ubicado en el municipio de Nextlalpan, Estado de México, al cual se le asignó el número de expediente 831506.
2. Que agotados los trámites legales, mediante resolución de Declaratoria de Terreno Nacional de 16 de abril de 2019, publicada en el Diario Oficial de la Federación el 26 de abril de 2019, se declaró terreno nacional el predio denominado Xaltocan, ubicado en el municipio de Nextlalpan, Estado de México, integrado por el polígono II con una superficie de 24-70-64 ha (veinticuatro hectáreas, setenta áreas, sesenta y cuatro centiáreas), y parte del polígono III con una superficie de 596-47-43.53 hectáreas (quinientas noventa y seis hectáreas, cuarenta y siete áreas, cuarenta y tres punto cincuenta y tres centiáreas); así mismo, se declararon inmuebles patrimonio de la federación el polígono I con una superficie de 50-13-26.01 hectáreas (cincuenta hectáreas, trece áreas, veintiséis punto cero un centiáreas) y una parte del polígono III con una superficie de 77-99-73.85 hectáreas (setenta y siete hectáreas, noventa y nueve áreas, setenta y tres punto ochenta y cinco centiáreas), y se pusieron a disposición de la Secretaría de la Defensa Nacional (SEDENA), por así haberlas solicitado con antelación.
3. Con base en los trabajos técnicos de medición y deslinde del 8 de noviembre de 2018, se emitieron los dictámenes técnicos en sentido positivo, números 719650 respecto del polígono I; 719651 del polígono II, y 719652 del polígono III, que arrojaron los siguientes datos:
Polígono I
a)    Coordenadas de ubicación geográficas
       De latitud norte 19 grados, 43 minutos, 50 segundos; y de longitud oeste 99 grados, 02 minutos, 30 segundos.
b)    Colindancias:
 
       Al Norte: Ejido Santa Ana Nextlalpan.
       Al Sur: Pueblo de Xaltocan y Ejido "San Miguel Xaltocan"
       Al Este: Base Aérea Militar No. 1 Santa Lucía
       Al Oeste: "Ejido Santa Ana Nextlalpan"
c)     Superficie: 50-13-26.01 Hectáreas de temporal.
Polígono II
a)    Coordenadas de ubicación geográficas
       De latitud norte 19 grados, 43 minutos, 56 segundos; y de longitud oeste 99 grados, 03 minutos, 35 segundos.
b)    Colindancias:
       Al Norte: Ejido "Santa Ana Nextlalpan".
       Al Sur: Ejido "Santiago Atocan".
       Al Este: Ejido "Santa Ana Nextlalpan".
       Al Oeste: Propiedades de Nextlalpan
c)     Superficie: 24-70-64 Hectáreas de temporal.
Polígono III
a)    Coordenadas de ubicación geográficas
       De latitud norte 19 grados, 42 minutos, 30 segundos; y de longitud oeste 99 grados, 02 minutos, 36 segundos.
b)    Colindancias:
       Al Norte: Fundo legal del pueblo de Xaltocan y Ejido "San Miguel Xaltocan".
       Al Sur: Cabecera municipal de Tonanitla, Ejido "Santa María Tonanitla" y Ejido "Ozumbilla".
       Al Este: Ejido "San Miguel Xaltocan".
       Al Oeste: Fundo Legal del pueblo de Xaltocan, Ejido "Santiago Atocan" y Fracc. XVII de la Ex Hacienda Santa Inés.
c)    Superficie: 674-47-17.38 Hectáreas de temporal.
4. Inconforme con lo anterior, el 29 de julio de 2019, Raúl Romero Zenizo, por su propio derecho, solicitó el amparo y protección de la Justicia Federal mediante escrito presentado en la Oficina de Correspondencia Común de los Juzgados de Distrito en el Estado de México, con residencia en Naucalpan de Juárez, señalando como autoridades responsables pertenecientes a esta Dependencia Federal:
"...3.1. El Presidente de la República, como titular del Poder Ejecutivo de la Unión y a quien le corresponde realizar, a través de las dependencias de la administración pública centralizada, el despacho, los negocios administrativos, de conformidad con lo que establece el artículo 2 de la Ley Orgánica de la Administración Pública Federal. Ello, por ser autoridad ordenadora de los demás actos reclamados.
3.2. El Secretario de Desarrollo Agrario, Territorial y Urbano, por haber dictado las siguientes resoluciones (que constituyen los principales actos reclamados) y ordenado su publicación en el Diario Oficial de la Federación y su inscripción en el Registro Público de la Propiedad y del Comercio de la Entidad Federativa que corresponda, el Registro Público de la Propiedad Federal y Registro Agrario Nacional:
a) Resolución que declara como terreno nacional el predio denominado Xaltocan, integrado por el polígono II con una superficie de 24-70-64 hectáreas y una parte del polígono III con una superficie de 596-47-43.53 hectáreas, del Municipio de Nextlalpan del Estado de México, publicada en el Diario Oficial de la Federación el veintiséis de abril del presente año.
b) Resolución que declara como terreno nacional e inmueble patrimonio de la federación la superficie integrada por el polígono I con una superficie de 50-13-26.01 hectáreas y una parte del polígono III con una superficie de 77-99-73.85 hectáreas, del predio denominado Xaltocan, Municipio de Nextlalpan del Estado de México, publicada en el Diario Oficial de la Federación el veintiséis de abril del presente año.
3.3. El Subsecretario de Ordenamiento Territorial y la Directora General de la Propiedad Rural,
ambos de la Secretaría de Desarrollo Agrario, Territorial y Urbano, por participar en el dictado de las resoluciones mencionadas.
3.4. El Director del Diario Oficial de la Federación y los Titulares del Instituto de la Función Registral del Estado de México, del Registro Público de la Propiedad Federal y del Registro Agrario Nacional, por efectuar la publicación y la inscripción, respectivamente, de las dos resoluciones impugnadas."
5. Por auto del 31 de julio de 2019, el Juzgado Decimotercero de Distrito en el Estado de México, con residencia en Naucalpan de Juárez, le tocó conocer de la demanda de amparo, la admitió a trámite y formó el expediente 925/2019.
6. Mediante proveído de 15 de octubre de 2019, se ordenó la remisión de los autos del juicio de amparo 925/2019-VIII al Juzgado Quinto de Distrito en Materia Administrativa en la Ciudad de México, esto, en virtud de ubicarse en los supuestos establecidos en el oficio SSCCNO/580/2019, emitido por la Secretaria Ejecutiva de Creación de Nuevos Órganos del Consejo de la Judicatura Federal.
7. Mediante acuerdo de 24 de octubre de 2019, el Juez Quinto de Distrito en Materia Administrativa en la Ciudad de México, se avocó al conocimiento del asunto citado en líneas anteriores y lo registró con el número de expediente 1537/2019-III.
8. Substanciado el juicio de amparo, el 23 de julio del 2021, el Juez de Distrito dictó sentencia en la que resolvió conceder el amparo a la Sucesión de Raúl Romero, representada por María Cristina Guadalupe Havaux Aspe, respecto de los actos reclamados al Subsecretario de Ordenamiento territorial, a la Directora General de Propiedad Rural; ambos de la Secretaría de Desarrollo Agrario, Territorial y Urbano, al Director del Diario Oficial de la Federación, al Director del Registro Público y Control Inmobiliario del Instituto de la Administración y Avalúos de Bienes Nacionales y del Titular el Registro Agrario Nacional.
9. Inconforme con la determinación anterior la Directora de Amparos en la Unidad de Asuntos Jurídicos, en ausencia de la Titular de la Dirección General de Amparos y Ejecutorias en la Unidad de Asuntos Jurídicos, en representación del Secretario de Desarrollo Agrario, Territorial y Urbano y de la Directora General de Ordenamiento de la Propiedad Rural, autoridades responsables; interpuso recurso de revisión, el cual por razón de turno correspondió conocer al Décimo Tribunal Colegiado en Materia Administrativa del Primer Circuito, el que por auto de Presidencia del 3 de noviembre de 2021, lo admitió a trámite y ordenó formar el toca con número R.A. 326/2021; asimismo, ordenó dar vista con los autos al Agente del Ministerio Público de la Federación adscrito, quien no formuló pedimento.
10. Mediante acuerdo del 10 de noviembre de 2021, se admitió a trámite el recurso de revisión adhesiva interpuesto por la parte quejosa.
11. Mediante acuerdo del 24 de noviembre de 2021, se recibió el recurso de revisión adhesiva interpuesto por la Directora General de Amparos y Ejecutorias de la Unidad de Asuntos Jurídicos de la Secretaria de Desarrollo Agrario, Territorial y Urbano en representación de las autoridades responsables, en contra de la revisión adhesiva interpuesta por la parte quejosa.
12. El 26 de mayo de 2022, el Décimo Tribunal Colegiado en Materia Administrativa del Primer Circuito, emitió resolución en la revisión de amparo 326/2021 en el que resolvió otorgar el Amparo y Protección de la Justicia Federal a la sucesión de Raúl Romero Zenizo, representada por la albacea María Cristina Guadalupe Havaux Aspe a efecto de que: "...sin que implique pronunciamiento sobre el derecho de propiedad, dado que sólo se le está reconociendo valor a los documentos con los cuales el quejoso demuestra su interés para que le sea respetada su garantía de audiencia, debe decirse que al respetar esa garantía y se deje insubsistente la resolución que decretó la nacionalización de bienes, evidentemente se tienen que caer todos los actos emitidos con posterioridad y reponerse el procedimiento, en el que, en todo caso, ahí es donde se va dilucidar sobre la propiedad...".
13. Que la parte de la superficie que el quejoso aduce es de su propiedad se encuentra dentro de la resolución de Declaratoria de Terreno Nacional e Inmueble Patrimonio de la Federación del 16 de abril de 2019, publicada en el Diario Oficial de la Federación el 26 de abril de 2019, mediante la cual se puso a disposición de la SEDENA la superficie integrada por el polígono I, correspondiente a 50-13-26.01 hectáreas (cincuenta hectáreas, trece áreas, veintiséis puntos cero uno centiáreas), y una parte del polígono III con una superficie de 77-99-73.85 hectáreas (setenta y siete hectáreas, noventa y nueve áreas, setenta y tres punto ochenta y cinco centiáreas) del predio Xaltocan, localizado en el municipio de Nextlalpan, Estado de México, como parte de la construcción del Aeropuerto Internacional Civil y Militar Felipe Ángeles, conforme al siguiente plano y cuadro de construcción:
 


 


14. Que mediante acuerdo del 5 de abril de 2022 publicado en el Diario oficial de 12 de mayo de 2022, la Secretaría de Desarrollo Agrario, Territorial y Urbano puso a disposición de la Secretaría de Hacienda y Crédito Público, a través del Instituto de Administración y Avalúos de Bienes Nacionales, la superficie de 16-57-28.73 hectáreas (dieciséis hectáreas, cincuenta y siete áreas, veintiocho punto setenta y tres centiáreas) del polígono III, predio Xaltocan, Municipio de Nextlalpan, Estado de México, a efecto de que la superficie sea destinada al servicio de la Secretaría de Comunicaciones y Trasportes para la construcción, operación y mantenimiento del "Acceso Principal Libre Tonanitla", que formará parte del proyecto de conectividad del Aeropuerto Internacional Civil y Militar Felipe Ángeles conforme al siguiente plano y cuadro de construcción:
 

 

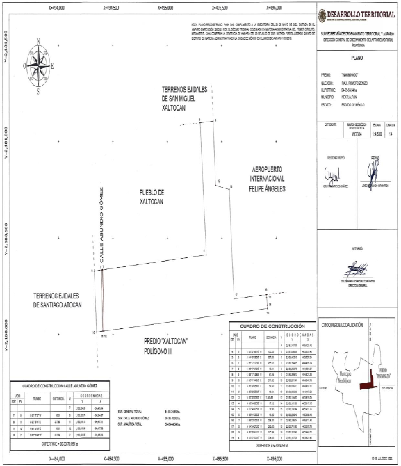
15. Que el proyecto del Aeropuerto Internacional "Felipe Ángeles" en Santa Lucía es una obra de infraestructura aeroportuaria que reviste una función prioritaria en términos del Plan Nacional de Desarrollo 2019-2024, siendo el interés social que rige tal acción en beneficio de la población en general, motivo por el cual su seguimiento y conclusión no es susceptible de paralizarse ya que reviste un interés común, siendo patente que la sociedad se encuentra interesada en contar con más y mejores servicios y con la infraestructura que permita su operación y, de lo contrario, implicaría una contravención del interés general tutelado en el artículo 107, fracción X Constitucional, toda vez que se privaría a la colectividad de un beneficio general sobre un particular, que otorgan las leyes. En ese sentido el cumplimiento a la ejecutoria del 26 de mayo de 2022 del Décimo Tribunal Colegiado en Materia Administrativa del Primer Circuito, que confirma la sentencia de amparo del 23 de julio del 2021, dictada por el Juzgado Quinto de Distrito del Primer Circuito, es para otorgar la garantía de audiencia al hoy quejoso y por ende debe de excluirse de la resolución de la Declaratoria de Terreno Nacional publicada en el Diario Oficial de la Federación el 26 de abril de 2019, la superficie de 54-59-64.54 hectáreas (cincuenta y cuatro hectáreas, cincuenta y nueve áreas, sesenta y cuatro punto cincuenta y cuatro centiáreas) del polígono III, del predio Xaltocan, municipio de Nextlalpan, Estado de México, de conformidad al plano y cuadro de construcción siguiente:

 


16. Quedan intocadas las superficies restantes que amparan las resoluciones que declaran terreno nacional a los predios en cuestión, por lo que
CONSIDERANDO
I. Que la Secretaría de Desarrollo Agrario, Territorial y Urbano instruye a la Dirección General de Ordenamiento de la Propiedad Rural para que en el ámbito de sus atribuciones y como autoridad responsable dé cumplimiento a la ejecutoria referida en el considerando 9, de conformidad con los artículos 27 de la Constitución Política de los Estados Unidos Mexicanos; 197 de la Ley de Amparo, 158 y 161 de la Ley Agraria, 96 al 122 del Reglamento de la Ley Agraria en Materia de Ordenamiento de la Propiedad Rural, 41 fracción IX de la Ley Orgánica de la Administración Pública Federal; 20 fracción XII del Reglamento Interior de la Secretaría de Desarrollo Agrario, Territorial y Urbano, y los artículos 354 al 357 del Código Federal de Procedimientos Civiles de aplicación supletoria a la Ley Agraria.
II. Que la resolución pronunciada el 26 de mayo de 2022, por el Décimo Tribunal Colegiado en Materia
Administrativa del Primer Circuito, en la revisión de amparo 326/2021, confirma la sentencia de amparo del 23 de julio de 2021, dictada por el Juzgado Quinto de Distrito en la Ciudad de México, promovido por Raúl Romero Zenizo, en la cual se concedió la protección Constitucional para que esta Secretaría excluya de las Declaratorias publicadas en el Diario Oficial de la Federación el 26 de abril de 2019, la superficie que la quejosa aduce es de su propiedad, a efecto de que se le otorgue su garantía de audiencia.
III. Que en virtud de que fue puesta a disposición la superficie de 51-49-47.50 hectáreas (cincuenta y un hectáreas, cuarenta y nueve áreas, cuarenta y siete punto cincuenta centiáreas), que corresponden al polígono I, solicitadas por la SEDENA para continuar con el proyecto de construcción del Aeropuerto Internacional Felipe Ángeles y, una superficie de 16-57-28.73 hectáreas (dieciséis hectáreas, cincuenta y siete áreas, veintiocho punto setenta y tres centiáreas), que corresponden a una parte del Polígono III, solicitadas por la Secretaría de Comunicaciones y Transportes para la construcción, operación y mantenimiento del "Acceso Principal Libre Tonanitla", que formará parte del proyecto de conectividad del Aeropuerto Internacional Civil y Militar Felipe, por lo anterior se excluye de la Declaratoria de Terreno Nacional del 16 de abril de 2019 y publicada en el Diario Oficial de la Federación el 26 de abril de 2019, dictada dentro del procedimiento administrativo número 831506, la superficie de 54-59-64.54 hectáreas (cincuenta y cuatro hectáreas, cincuenta y nueve áreas, sesenta y cuatro punto cincuenta y cuatro centiáreas) del polígono III, del predio Xaltocan, municipio de Nextlalpan, Estado de México, que la parte quejosa aduce ser de su propiedad.
IV. Que en términos de lo establecido en el artículo 101 fracción V de la Ley General de Bienes Nacionales, deberá publicarse el presente Acuerdo en el Diario Oficial de la Federación; hecho lo anterior, se ordena la inscripción del mismo ante el Registro Público de la Propiedad Federal, en el Registro Agrario Nacional y en el Instituto de la Función Registral del Estado de México, de conformidad con lo dispuesto en los artículos 42 fracción XIV de la Ley General de Bienes Nacionales y 4 del Reglamento Interior del Registro Agrario Nacional.
Por lo expuesto y fundado, se emite el siguiente:
ACUERDO
PRIMERO. Se excluye de la Declaratoria de Terreno Nacional del 16 de abril de 2019, publicada en el Diario Oficial de la Federación el 26 de abril de 2019, la superficie de 54-59-64.54 ha (cincuenta y cuatro hectáreas, cincuenta y nueve áreas, sesenta y cuatro punto cincuenta y cuatro centiáreas) del polígono III del predio Xaltocan, ubicado en el municipio Nextlalpan, Estado de México, en términos del considerando III del presente Acuerdo, en cumplimiento a la ejecutoria del 26 de mayo de 2022, dictada en el amparo en revisión 326/2021 por el Décimo Tribunal Colegiado en Materia Administrativa del Primer Circuito, mediante el cual confirma la sentencia de amparo del 23 de julio de 2021 dictada por el Juzgado Quinto en Materia Administrativa de la Ciudad de México, en el juicio de amparo 1537/2019 y en seguimiento a los considerandos.
SEGUNDO.- Remítase copia certificada del presente Acuerdo al Registro Agrario Nacional, al Registro Público de la Propiedad Federal y al Instituto de la Función Registral del Estado de México, para su conocimiento e inscripciones correspondientes.
TERCERO.- Dese vista a la Sucesión de Raúl Romero Zenizo, representada por la albacea María Cristina Guadalupe Havaux Aspe, con los resultados de los trabajos técnicos de medición y deslinde realizados por esta Secretaría, contando con diez días hábiles para que realicen manifestaciones y aporten las pruebas que a su derecho convengan, conforme a lo establecido en el artículo 32 de la Ley Federal de Procedimiento Administrativo, apercibidos de que en caso de no hacerlo se tendrá por precluido su derecho; la citada vista será notificada en el domicilio que proporcionó la parte quejosa en su escrito del 17 de junio del 2019, ubicado en Montes Urales 723, Col. Lomas de Chapultepec, C.P. 11000, Alcaldía Miguel Hidalgo, Ciudad de México.
CUARTO.- Hecho lo anterior, díctese nueva resolución respecto de la superficie correspondiente a 54-59-64.54 ha (cincuenta y cuatro hectáreas, cincuenta y nueve áreas, sesenta y cuatro punto cincuenta y cuatro centiáreas) del polígono III del predio Xaltocan, ubicado en el municipio Nextlalpan, Estado de México, que la parte promovente aduce es de su propiedad, y notifíquese en los términos de la legislación aplicable.
QUINTO.- Remítase copia certificada de este acuerdo a la Unidad de Asuntos Jurídicos de la Secretaría de Desarrollo Agrario, Territorial y Urbano, para que por su conducto informe al Juzgado Quinto de Distrito en Materia Administrativa de la Ciudad de México.
SEXTO.- Publíquese el presente Acuerdo en el Diario Oficial de la Federación y comuníquese al Instituto de Administración y Avalúos de Bienes Nacionales.
Dado en la Ciudad de México, a 3 de agosto de 2022.- Directora General de Ordenamiento de la Propiedad Rural, Dulce María Rodríguez Cervantes.- Rúbrica.- Aprobó: Director de Terrenos Nacionales, Luis Alberto Hernández Vázquez.- Rúbrica.- Revisó: Prestador de Servicios Profesionales, Saulo Cristalinas Núñez.- Rúbrica.- Elaboró: Prestadora de Servicios Profesionales, Nelly Gutiérrez Moreno.- Rúbrica.